Location
848 Watt’s Pond Road, Paris
Units
294
Category
Residential
Status
Approved
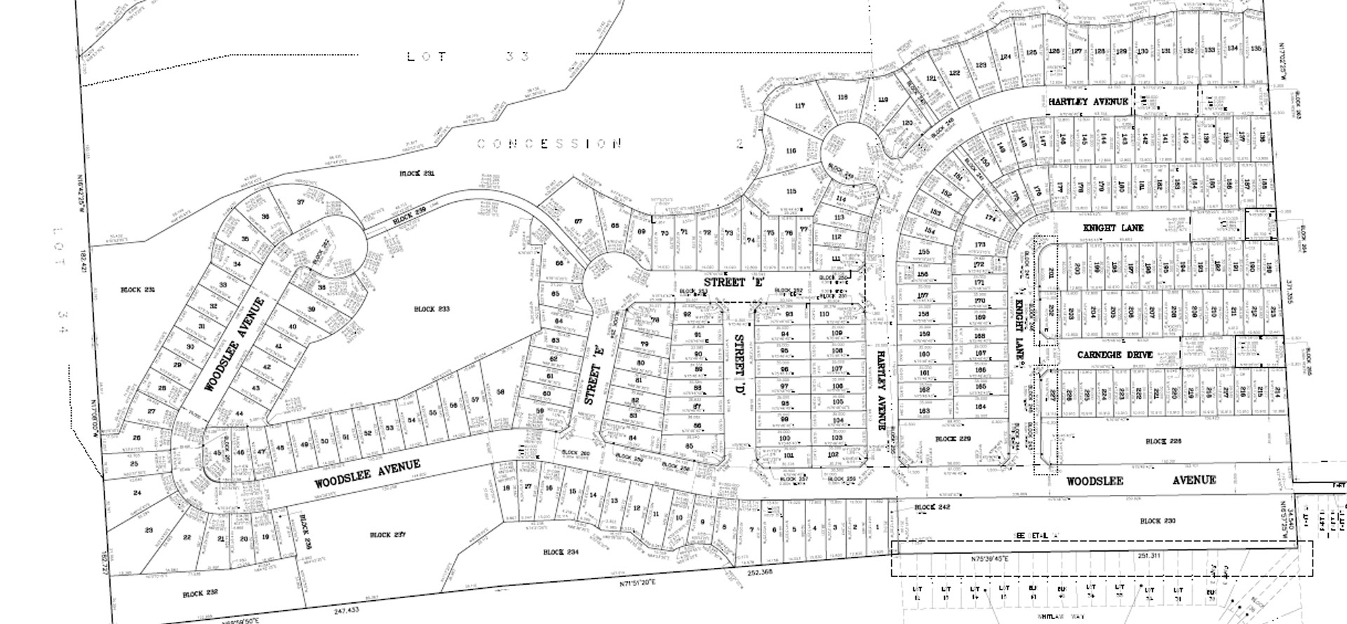
The subject lands are situated at 848 Watt’s Pond Road in Paris, Ontario. To facilitate the development of this area, a Draft Plan of Subdivision and a Zoning Amendment were necessary. This development aims to introduce a total of 227 single-family detached homes and 66 townhouses, significantly enhancing the residential density of the community.
The entire site spans over 44 hectares, providing ample space for a variety of amenities. A key feature of the development is a designated stormwater management block, designed to effectively handle drainage and water management, ensuring environmental sustainability. Additionally, the project includes a substantial park area, measuring over 20 hectares. This park will serve as a recreational space for residents, promoting outdoor activities and community engagement.
